Les premières demandes pour l'installation de canalisations d'eau
sous les chemins communaux sont apparues au début de l'année 1902. En
février, le conseil municipal autorisa "le maire à donner
l'autorisation nécessaire à ce sujet conformément au tarif existant
à cet égard". Le mois suivant, un entrepreneur, agissant au nom
de M. Briens, propriétaire [de l'Île de Villennes et de villas],
sollicita l'autorisation de poser des tuyaux devant passer sous le
pont du chemin de fer.
Une société était alors en formation pour la distribution de l'eau
dans la commune. Sa demande a fait allusion à la borne-fontaine,
appartenant à la commune, alimentée à raison de 10 litres à la minute
par le propriétaire de l'ancien château : des personnes non
propriétaires avaient greffé, sans droits, des tuyaux de conduite sur
celui alimentant la borne-fontaine. La question suivante était posée :
"La mission de faire supprimer ces branchements incombait-elle au
fournisseur de l'eau ou à la commune ?". Le préfet répondit que
leur suppression devrait être faite par le fournisseur de l'eau.
En avril, MM. Chanoit Frères demandèrent
l'autorisation d'établir des tuyaux sur la voie publique sur toute
l'étendue de la commune pour la distribution des eaux, au titre de
concession, aux propriétaires qui en feront la demande. Le conseil
municipal accorda l'autorisation sous les conditions suivantes
imposées aux demandeurs :
Paiement d'une somme annuelle de 10 centimes par mètre courant ;
fourniture d'un plan détaillé et d'un traité conditionnel ;
Respect des conditions de l'arrêté.
Gaston Henri et Jean Léon Chanoit étaient tous deux ingénieurs des
arts et manufactures et habitaient à Villeneuve Saint Georges ; ils
traitaient des affaires en commun mais aucune société n'existait entre
eux.
En juillet, le conseil municipal a décidé de rapporter sa
délibération précédente et a nommé une commission, composée de MM.
Desnues et Cauchoix, pour examiner le cahier des charges et faire un
rapport. Il fallut attendre huit ans pour qu'une décision soit prise.
Entre temps, le conseil municipal avait répondu favorablement à deux
initiatives de portée limitée :
En août 1905, la "Compagnie des eaux" a été autorisée à établir
une canalisation depuis la grille du parc jusqu'en face de la
propriété de M. Rousset, située rue du Président, à trois conditions
:
- Etablir une nouvelle conduite en plomb de même dimension que celle
qui existait, alimentant la fontaine de la place de l'Eglise ;
- Installer sur cette place une borne d'incendie pour l'arrosage des
voies publiques.
- Entretenir, à sa charge, la canalisation pendant un an.
En août 1908, le Docteur Binet ontint la permission de distribuer
l'eau de son puits foré dans un rayon de 500 m des limites de sa
propriété du Bois des Falaises.
Concession du service de distribution d'eau
à MM. Chanoit Frères
En mars 1910, le conseil désigna une nouvelle commission chargée
d'étudier le projet de canalisation dans l'étendue de la commune.
Début mai, elle présenta un projet de convention entre la commune et
MM. Chanoit Frères, que le conseil municipal accepta.
Les premiers courriers de cette entreprise portaient l'entête
suivante :
Entreprise Générale d'Exploitation à forfait de distributions
d'Eau, de Gaz et d'Electricité
Moteurs à Gaz Pauvre & Transports de Force
Un traité de concession a été signé le 20
juin 1910 pour 30 ans. Le concessionnaire s'engageait à fournir
gratuitement près de 25 000 m3 par an à la commune :
Lavoir
19 000 m³
Borne-fontaine
5 250 m³
Mairie et écoles
550 m³
Arrosages
180 m³
En août 1910, la commune prit à sa charge la déviation, par les soins
du concessionnaire du service des eaux, de la canalisation d'eau de
l'avenue du Parc, nécessitée par la construction de la nouvelle gare.
Acquisition de la source, de la grotte,
des canalisations et des terrains voisins
M. Pichard du Page, lotisseur du parc du château a vendu à MM.
Chanoit les lots suivants décrits dans l'annonce légale publiée le
15/4/1911 dans le journal Le Courrier de Versailles :
Premièrement.
Les portions ci-après désignées, formant le troisième lot du plan
général de lotissement de la propriété dite « Château de Villennes
», [...]
savoir : Un terrain de forme irrégulière, d'une contenance
superficielle de douze cent soixante-dix-neuf mètres
quatre-vingt-seize centièmes, à prendre dans ledit troisième lot, de
manière à tenir, d'un bout, la rue des Ecoles sur une façade de
trente-trois mètres [...] ; d'autre bout, le surplus du troisième
lot sur une largeur de neuf mètres cinq cent cinquante-sept
millimètres ; d'un côté, le surplus dudit troisième lot, [...] ;
d'autre côté, le surplus du même troisième lot, [...] ;
Sont compris dans le terrain susdésigné et font partie de ladite
vente :
1° La source et la galerie souterraine par laquelle cette source est
amenée au jour ;
2° Le massif de la grotte, dans lequel s'écoule ladite source et le
bassin en avant de cette grotte, jusques et y compris le pont en
pierre établi sur la rivière anglaise ;
3° La portion de rivière comprise entre ce pont et la cascade
imrnédiatement au-dessous ; Deuxièmement.
Et l'ensemble des canalisations par lesquelles est actuellement
assuré le service des abonnements aux eaux de la source, tant à
l'intérieur qu'à l'extérieur du parc de Villennes.
Travaux perturbateurs
En octobre, la tranquillité des Villennois était troublée par
les travaux de pose des canalisations. Léon Francq,
propriétaire à Villennes (futur directeur du Syndicat
d'initiative et de la Société d'Electricité de Villennes),
écrivit au préfet qu' "il se passe des choses
extraordinaires à Villennes" :
Les travaux de pose de la canalisation étaient en cours
d'exécution.
Un conseiller municipal était, paraît-il, le sous-traitant du
terrassement.
La circulation était interrompue, les occupants des propriétés
riveraines étant bloqués chez eux pendant plusieurs jours.
La tranchée n'étant pas ensuite correctement comblée, les
voitures s'enfonçaient jusqu'aux moyeux aux risques d'accidents
graves.
Les fouilles ouvertes n'étaient pas éclairées la nuit.
Lorsque de la roche dure était rencontrée en pleine voie publique
de Poissy à Médan, sans que les voisins soient prévenus, des coups
de mine ébranlaient les immeubles et projetaient au loin des
matériaux qui causaient des dégâts.
Après information auprès du maire, le préfet invita MM. Chanoit à
donner des ordres, afin qu'il soit remédié aux inconvénients des
travaux de canalisation.
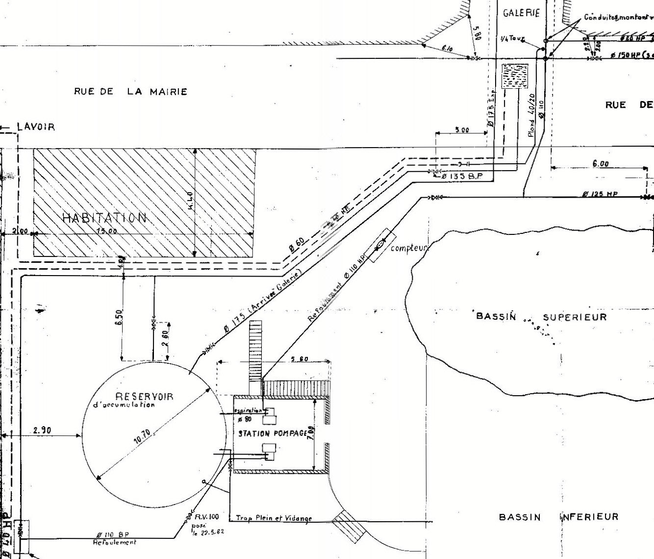
Voici le plan du réseau initial :
Un réseau de distribution,
à partir d'une source à mi-hauteur
Pendant quelques décennies, les Villennois ont bu et utilisé
les eaux des sources du Parc.
Captées depuis l'aménagement du Parc, vers 1869, par le
propriétaire du château, Jean Baptiste Paradis, leur eau est
canalisée jusqu'à la grotte, qu'il a fait construire, puis
alimente la rivière anglaise qui traverse tout le parc avant
de rejoindre la Seine.
Les photographies, qui suivent, vous font visiter :
La galerie qui conduit aux sources et contient des canalisations ;
Les deux sources, dont l'une est située sous le coteau près du
parking, qui de nos jours fait face, rue Gallieni, au bar-tabac "Le
Marigny" ;
Le bassin supérieur, au dessus de la grotte, où coule l'eau, issue
de la source, qui n'était pas dirigée vers le réseau de distribution
;
Le regard de la cuve où l'eau était stockée avant pompage.
Le réseau de distribution comprenait alors deux parties distinctes :
La "basse pression", qui desservait la moitié du
"pays", dans laquelle l'eau de la source coulait naturellement.
La "haute pression", qui desservait la partie
haute au moyen d'un réservoir dans lequel il fallait refouler l'eau
de source. L'eau y était montée pendant tout l'hiver et même pendant
la plus grande partie de l'année, par un bélier hydraulique ;
pendant les mois d'été, lorsque le débit du bélier devenait
insuffisant, une pompe actionnée par un moteur à gaz était utilisée.
Un rapport technique a décrit de manière détaillée, en 1927, les
moyens qui étaient alors utilisés :
Les communes de Villennes et de Médan sont alimentées actuellement
au moyen des eaux de la source du Parc de Villennes.
Cette source qui apparaît au jour à la cote 39,31 m au fond d'une
galerie de captation forée dans le coteau, tombe, à la sortie de
cette galerie, d'une hauteur de 9 mètres dans une petite rivière
qui, après avoir traversé plusieurs propriétés du Parc de Villennes
sur une longueur totale de 800 mètres environ, se jette dans la
Seine.
L'altitude de cette source permet de la distribuer par gravité dans
un réseau de canalisations dit de basse pression situé entièrement
sur le territoire de la Commune de Villennes (au dessous de la cote
39 mètres).
Pour assurer l'alimentation des parties hautes de cette Commune et
celles de Médan, il a fallu recourir à un relèvement mécanique des
eaux de source.
Ce relèvement est fait au moyen de 2 groupes élévatoires
distincts : l'un est constitué par une machine Samain à
colonne d'eau utilisant la chute d'eau de 9 ms dont il est
parlé plus haut, et refoulant les eaux dans un réservoir
situé à la cote 85 mètres dans le bois des Falaises. Le
volume d'eau ainsi élevé varie de 2 m3 50 à
2 m3 75 par heure. Une 2e machine à
colonne d'eau mais d'un autre type sert de réserve en cas
d'accident. Le 2e groupe élévatoire est formé par
un moteur à gaz Japy de 7,5 HP actionnant une pompe
centrifuge Weise et Monski capable de refouler de 12 à 15 m3
à l'heure à une hauteur manométrique oscillant de 55 à 60
mètres suivant les variations de la perte de charge dans la
conduite de refoulement de 110 m/m de diamètre qui réunit
ces diverses machines à un réservoir situé dans le bois des
Falaises.
Cette conduite maîtresse de refoulement (qui aboutit au fond de ce
réservoir) alimente, sur son parcours, un ensemble de conduites de
distribution de 60 m/m de diamètre qui sont installées dans toutes
les rues de l'agglomération de la Commune de Villennes. Un de ces
branchements se prolonge jusqu'à Médan. Cet ensemble de
canalisations constitue le réseau dit de haute pression.
On termine actuellement l'installation d'un 3e groupe
élévatoire de réserve comprenant, comme le précédent, un moteur à
gaz Japy de 7,5 HP et une pompe centrifuge.
Pendant les mois d'hiver et une partie de ceux d'été la machine
Samain suffisait au début, en 1911, à alimenter le réseau de haute
pression mais au fur et à mesure du développement de la
consommation, l'insuffisance du débit de cette machine ne lui
permettant plus d'assurer le service, on fut obligé de mettre en
marche de plus en plus fréquemment le groupe élévatoire Japy. Cette
année, par exemple, il a fallu, même pendant les mois d'hiver,
recourir à l'emploi du moteur à gaz qui a dû fonctionner jusqu'à 16
heures par jour pendant l'été. Les machines à colonnes d'eau doivent
être arrêtées pendant la marche des moteurs à gaz, l'eau motrice
devenant alors insuffisante pour les actionner.
Sur le seul territoire de la Commune de Villennes le réseau de
haute pression comporte :
1.370 ms de conduite de 110 m/m (refoulement)
3.250 ms de conduite de 60 m/m (distribution)
Le réseau de basse pression, de son côté, est constitué par :
85 ms de conduite de 135 m/m
225 ms de conduite de 110 m/m
2.425 ms de conduite de 80 m/m
625 ms de conduite de 60 m/m
La Commune de Médan est alimentée en haute pression par une
conduite de 60 m/m et 2.000 m de long. [...]
Les conduites de basse pression sont en fonte du type Lavril à
joints de caoutchouc, celles de haute pression sont en fonte jointe
au plomb coulé et matté à cordon et emboîtement.
Le réservoir installé dans le bois des Falaises est en ciment armé
de forme cylindrique, couvert et d'une contenance de 300 m3.
[...]
L'une des premières polices d'abonnement au service de
l'exploitation des "Eaux des sources du Parc de Villennes" ...
et une quittance.
Extensions du réseau
Le conseil municipal décida, à la demande du concessionnaire du
service communal des eaux, après autorisation de M. Binet,
propriétaire, que le service des eaux du Bois des Falaises serait
compris définitivement dans le réseau municipal.
En février 1911, il fit ajouter six prises d'eau aux cinq bouches
d'incendie que le concessionnaire s'était engagé à installer. En
juillet, il décida l'installation, au cimetière, d'une "concession
d'eau" au tarif le plus réduit mais il voulu limiter les frais en
n'acquérant pas un compteur qui ne paraissait pas nécessaire, attendu
que les prises d'eau ne se faisaient guère que pendant l'été.
En août 1912, la soumission-marché à forfait établie par MM.
Chanoit frères, a été acceptée pour l'installation de l'eau de
source dans les deux écoles de Villennes (centre) et au
cimetière, ainsi que cinq bouches d'incendie réparties dans
l'agglomération du chef-lieu communal.
Au début de la guerre, au printemps suivant, au début de la
guerre, le maire intervint auprès de la société
concessionnaire du service en faveur "de petits
propriétaires qui ont payé leur abonnement d'eau mais ne
viendront pas louer cette année".
En octobre 1915, MM. Chanoit Frères écrivirent au maire qui
avait demandé le déplacement de la bouche d'égout située en
face de la porte d'entrée de sa villa. Ils acceptèrent, tout
en demandant si la société du gaz avait le droit, comme elle
le prétendait, d'augmenter le prix de son gaz.
En janvier 1916, le conseil municipal chargea la commission des
travaux d'étudier le projet de canalisation des eaux du Coquart et
d'obtenir les autorisations nécessaires des propriétaires. En octobre
1921, il a adopté la soumission de M. Perret Joannès, entrepreneur de
travaux publics, pour l'établissement d'une canalisation dans la rue
Parvery (3000 F).
Le nombre d'abonnés augmentait régulièrement ainsi que leur
consommation, sauf pendant les deux dernières années de la guerre de
1914-1918, comme le montre le tableau suivant, ne comprenant pas la
fourniture gratuite à la commune, restée constante :
Les principales caractéristiques du développement du service de
distribution d'eau, en une décennie, sont les suivantes :
Le nombre d’abonnés a quasiment triplé en 10
ans (de 29 à 86).
La consommation d’eau a augmenté de façon encore plus marquée : +19
100 m³ sur la période, soit une croissance moyenne de 1
900 m³ par an.
On observe une tendance continue et stable sans
rupture, témoignant d’un développement rapide mais maîtrisé du
réseau et de la demande.
La plupart des abonnés se trouvaient dans les deux premières
tranches du tarif : moins de 250 litres par jour, puis moins de 500
l/j.
Une conduite a été installée en 1928 sous le chemin de Seine. Ce
n'est qu'en 1937 que l'eau a été distribuée dans les hameaux de la
Clémenterie et de Breteuil.
La borne-fontaine de la Fontaine
Les eaux du lavoir de la Fontaine et du puits de la rue du Regard
étant fréquemment contaminées, le conseil municipal considérait, en
juillet 1916, "qu'il est de toute nécessité au point de vue de
l'hygiène et de la santé publique de pourvoir d'eau de source le
quartier de la Fontaine habité en général par des familles peu
fortunées".
Il décida de placer une borne-fontaine dans ce quartier, dont les
habitants allaient parfois chercher l'eau nécessaire aux besoins du
ménage au grand lavoir ou à la borne-fontaine du Sophora.
L'aspect actuel de son emplacement,
à l'angle de la rue du Regard et de la rue de la Fontaine
Il a été demandé aux Frères Chanoit de l'alimenter en eau, en échange
de l'abandon des 180 m3 qu'ils doivent fournir gratuitement
chaque année pour l'arrosage des rues ; " ils ne devraient pas
subir de préjudice, le quartier étant habité par des familles peu
fortunées qui ne prendront jamais de concession d'eau". La
commune, devant prévoir exactement la dépense à son budget, n'accepte
pas de payer l'eau selon la consommation mesurée par compteur ; un
accord a été trouvé pour un abonnement forfaitaire, sur la base de 2 m3
par jour. Un écriteau a interdit, sous peine de contravention, tout
usage de l'eau autre que la boisson et la cuisine, les autres besoins
étant couverts par le lavoir de la Fontaine voisin.
L'installation de la borne-fontaine avait été prévue au budget de
1916 (1000 F). MM. Chanoit Frères avaient consenti à un
abonnement annuel de 100 F ; le devis de l'installation, à la charge
de la commune, a été de 751,39 F. Le conseil municipal décida
d'accepter les propositions et de faire installer la borne-fontaine
dans le plus bref délai possible.
Dès l'installation de la nouvelle borne-fontaine, son fonctionnement
et son arrêt se sont montrés difficiles. Selon le concessionnaire, en
octobre 1916, la borne qu'elle avait fournie "est d'un système qui
a fait ses preuves ainsi que la plus ou moins grande dureté de son
levier et l'irrégularité de son débit ne sont qu'une question de
réglage".
Début août 1917, un contrat a été passé avec MM. Chanoit,
pour la fourniture d'eau à forfait et sans compteur à la
borne-fontaine, leur consentant une redevance annuelle de 100
F.
En janvier 1933, un abonnement de 1000 litres par jour a
été établi pour l'alimentation de la borne-fontaine.
Elle a été utilisée jusqu'à la Seconde Guerre mondiale : en
juillet 1939, la municipalité a recensé les immeubles sans eau dans le
quartier de la Fontaine et a fait établir par la société
concessionnaire de la distribution de l'eau un devis pour les
branchements que nécessiterait la suppression de la borne-fontaine.
Refus répétés de l'augmentation du prix de l'eau
En novembre 1916, l'augmentation du prix du gaz, qui était utilisé
pour le moteur de la pompe, a conduit MM. Chanoit à vouloir
augmenter celui de l'eau. Ils ont fait valoir que le prix de l'eau
était plus élevé dans la plupart des villes de Seine et Oise. Ils
proposèrent que seul le prix de l'eau consommée en supplément des
abonnements soit augmenté et porté à 0,60 F le m3 au lieu
de 0,50 F.
Considérant que le service des eaux restait rémunérateur, le conseil
municipal n'accepta pas les prétentions des concessionnaires et
s'opposa à l'augmentation : "En effet, ceux-ci bénéficient de la
totalité des abonnements qui leur sont acquis même lorsque les
abonnés ne consomment pas d'eau pendant la majeure partie de l'année
comme c'est le cas dans la commune. Le moteur à gaz ne fonctionnant
que peu de temps au cours de l'année, l'augmentation du prix du gaz
ne peut occasionner aux concessionnaires qu'une légère diminution de
bénéfice".
Le préfet répondit au maire qui lui avait demandé s'il était fondé à
résister à l'augmentation projetée : les concessionnaires des communes
d'Epinay-sous-Sénart, d'Ezanville, de Guyancourt, de Montgeron, de
Sucy-en-Brie et de Viry-Châtillon n'avaient formulé aucune demande
d'augmentation des prix. A Carrières-St Denis, Evry-Petit-Bourg,
Rambouillet et Soisy-sous-Etiolles, les conventions intervenues
avaient donné lieu à des contestations qui ont été réglées à
l'amiable.
Suite au manque de gaz, le moteur de la pompe, de 12 chevaux, a
été transformé, en 1918, pour fonctionner à l'essence.
Les frères Chanoit demandèrent, en 1919, une nouvelle augmentation
des tarifs, faisant référence à cinq arrêts nouveaux du Conseil d'Etat
sur la question des charges extra-contractuelles provoquées par la
guerre, qui grevaient les concessions d'eau, de gaz et d'électricité.
Ils ont déclaré que "les circonstances (manque de gaz, nécessité de
marcher à l'essence, hausse des matières premières pour la
réparation des machines, majoration des salaires, ...) ont
lourdement grevé leurs frais généraux et le bilan de leur
exploitation montre un bénéfice absolument nul, ne couvrant pas
l'intérêt du capital engagé dans l'affaire". Ils ontproposéune
augmentation de 30 %, à partir de juillet pour les suppléments et de
1920 pour les abonnements, tout en menaçant d'avoir recours au Conseil
d'Etat s'il n'y avait pas d'entente amiable (le Conseil d'Etat avait
accordé des augmentations de plus de 40 % dans d'autres
affaires). Le préfet, dont le maire avait sollicité l'avis, répondit
que son administration ne pouvait pas être appelée à juger de la
valeur des motifs sur lesquels la Maison Chanoit s'appuiyait pour
imposer l'augmentation de ses tarifs. Un avenant du contrat fixa de
nouveaux tarifs.
Voici l'étrange proposition, faite par la société en septembre 1920 :
[...] Nous sommes tout disposés à vous être agréable et à vous
accorder une certaine quantité d'eau gratuite pour l'urinoir
que vous comptez installer place de la gare.
Nous vous demanderons, en échange, de bien vouloir examiner avec
bienveillance la demande de relèvement des tarifs d'abonnement d'eau
que nous serons certainement obligés de vous faire l'année prochaine
si les hausses extracontractuelles qui grèvent notre exploitation
continuent à sévir d'une façon aussi désastreuse pour nous. [...]
En décembre, le conseil municipal approuva de manière absolue
les termes de la réponse négative que le maire avait faite à
une nouvelle demande des frères Chanoit pour l'augmentation
des tarifs d'eau.
Ils n'ont obtenu satisfaction qu'en octobre 1922, après avoir annoncé
que leur exploitation à Villennes été déficitaire : le conseil
municipal a fait examiner leur comptabilité par un expert-comptable
puis a ratifié l'augmentation des prix de l'eau, bien qu'il regrettait
que la Commission de l'eau n'ait pas pu être entendue par l'expert, M.
Felix, ingénieur des Ponts et Chaussées à Versailles.
Voici, en francs, l'évolution des tarifs, en fonction de l'abonnement
selon le volume d'eau :
litres par jour
125
250
500
1000
> 1000
1910
35
60
110
100 par m³/j suppl.
1919
45
75
140
120 par m³/j suppl.
1922
36
70
137
259
445 par m³/j suppl.
1927
61
121
237
459
Proposition de vente du réseau
et des installations à la commune
Avant ces augmentations de 1922, le concessionnaire du service avait
envisagé de mettre fin à son contrat, avec cette annonce en février
1921 :
En raison de profondes modifications dans nos familles (départ au
régiment d'un de nos fils spécialement chargé de Villennes, mauvais
état général de nos santés respectives, qui ne nous permet plus de
mener de front deux affaires d'eau, dont l'une, celle de Villeneuve
et environs, absorbe tout notre temps, nous sommes décidés à vendre
notre affaire d'eau de Villennes.
Ils ont proposé à la municipalité de lui céder en toute propriété
l'ensemble du service des eaux de la commune, comprenant :
Maison d'habitation du représentant ;
Grotte, source, galerie, terrains ;
Machines ;
Deux réservoirs ;
Réseau des canalisations se composant des longueurs approximatives
suivantes : basse pression : 3530 m, haute pression : 5680 m.
L'évaluation totale à dire d'expert s'élevait à la somme de 396 007
F, mais MM. Chanoit proposèrent de fixer le prix de la cession à 235
000 F. Le conseil désigna six membres de la commission des finances et
de celle des travaux pour étudier cette question et déposer un
rapport. En avril, le maire demanda au préfet quelle subvention la
commune pourrait espérer obtenir du pari mutuel pour diminuer la
dépense de l'achat du service des eaux. MM. Chanoit étaient-ils
concessionnaires du service des eaux pour un temps déterminé ou
propriétaires du système d'alimentation et du réseau de distribution
d'eau dans la commune ? Le préfet répondit qu'ils étaient
propriétaires de la source et du réseau de distribution d'eau.
Le mois suivant, le préfet transmit la demande de subvention du pari
mutuel au ministère de l'Agriculture (Direction Générale des Eaux et
Forêts, Service de l'Hydraulique et des améliorations agricoles).
Celui-ci lui demanda de faire savoir dans quelles conditions devait
s'opérer le rachat et quel était le but recherché par la municipalité.
Le maire répondit que le rachat se ferait uniquement si l'affaire
paraissait avantageuse pour la commune et si elle pouvait obtenir une
grosse subvention ; l'exploitation se ferait dans les mêmes conditions
en l'améliorant et en étendant, selon les moyens, le réseau des
canalisations existantes. Pour le préfet, ces renseignements étaient
insuffisants, la but recherché par la municipalité devant être
présenté avec un projet d'extension.
En août, le conseil municipal rejeta la proposition de MM. Chanoit
Frères qui ne paraissait nullement avantageuse pour la commune.
Cession à la Société Lyonnaise des Eaux et de l'Eclairage
La vente de l'entreprise de distribution d'eau de Villennes à
la Société Lyonnaise des Eaux et de l'Eclairage a été
effective le 1er janvier 1923.
Le service de l'exploitation a été suivi directement par la
Société des Eaux du Vésinet.
En janvier 1927, le conseil municipal refusa de payer les
réparations d'un robinet, situé dans l'établissement de la
SLEE !
Le débit de l'eau ne s'était pas amélioré
Quelques habitants de Villennes, qui n'avaient pas obtenu de réponse
à plusieurs demandes, adressèrent une pétition : ils se plaignaient du
"manque de distribution d'eau" et réclamaient la haute
pression, demandant que le conseil municipal intervienne auprès de la
Compagnie des Eaux. Des commerçants du centre (un entrepreneur de
peinture, l'hôtel du Berceau, le bazar-hôtel et un coiffeur)
adressèrent également une plainte dans le but "d'obtenir la haute
pression". Enfin, c'est l'Association amicale des propriétaires
de l'Île de Villennes qui s'est plainte du manque d'eau et de la
pression insuffisante.
En juillet, le conseil décida de prolonger le traité avec la Société
Lyonnaise des Eaux et de l'Eclairage jusqu'au 31 décembre 1963. Il
reporta la décision de la construction d'un réservoir d'une contenance
de 300 m3 environ, destiné à assurer dans toute la partie
de la distribution d'eau, desservie en basse-pression, une pression
moyenne de 20 mètres au dessus du sol :
Ces travaux seraient faits dans un délai de six mois après
l'approbation préfectorale ; les abonnés situés sur la place de
l'Eglise seraient alimentés en haute pression ; une canalisation de
300 m serait établie pour desservir les propriétés situées en
bordure de la rue de Seine.
Une redevance semestrielle serait appliquée pour la location et
l'entretien des compteurs.
Les canalisations seraient prolongées, à la première demande, rue
des Iselles, rue du maréchal Gallieni, petit chemin latéral à la
Seine et chemin de Marolles.
Six bouches d'incendie seraient installées.
Le projet d'avenant a été adopté en août.
En novembre de cette année 1927, le conseil accepta la
demande de la SLEE : elle installera le nouveau réservoir,
destiné à maintenir la pression constante, dans le square de
Marolles (appelé "Place verte" de nos jours), en bordure de la
rue du Maréchal Gallieni.
En contrepartie, elle installera une canalisation dans la
Ravine, elle posera trois bancs en ciment armé et agrémentera
l'emplacement du réservoir par un jardin de fleurs qu'elle
entretiendra.
En décembre 1929, la pression restait très variable, selon la saison,
comme l'a montré une plainte du Groupement de la Nourrée :
L'eau n'arrive plus que très faiblement aux premiers étages des
maisons de notre chemin et, dans ces conditions, nous ne pouvons
plus faire usage de nos appareils de bain.
En été, on souffre quelquefois d'un excès de pression qui risque de
faire sauter nos appareils.
Un autre réservoir a été installé ultérieurement, sous la
forme d'un château d'eau, à proximité du chemin de Groux.
Qui était propriétaire de la source ?
On dit [...]
Qu'il n'y a toujours pas d'eau dans l'abreuvoir de la rue Parvery,
Qu'il n'en coule plus sur le rocher de la propriété Lotiron, sauf à
de très rares moments.
Que la rivière qui traverse le Parc ne reçoit plus la quantité à
laquelle elle a droit.
Comme la source de Villennes n'est pas tarie, les uns supposent que
l'eau doit être envoyée à Vernouillet, les autres croient qu'elle
est dirigée sur Breteuil.
Journal
de Poissy, Meulan, Saint-Germain-en-Laye, Rueil,
Maisons-Laffitte, Marly-le-Roi, Rueil, 15/8/1929
En cette année 1929, la SLEE avait capté entièrement l'eau de la
source, pour alimenter les villes de Médan et de Vernouillet, ne
laissant que 200 m3 (par seconde), prévus
contractuellement, pour la "rivière l'Anglaise". Le résultat a été que
la cascade, qui faisait suite à la grotte, n'existait plus et que le
rocher était à sec.
La question de l'eau
Il y a un an, des énergies se sont manifestées pour critiquer les
membres du Conseil sortant au sujet de l'eau de la source de
Villennes que le concessionnaire venait d'envoyer à Vernouillet et
il leur était reproché de n'avoir rien fait à ce sujet pour la
défense des intérêts de la commune.
Dans l'intérêt général, je tiens à signaler, si ma mémoire ne fait
pas défaut, que d'ici très peu de temps la prescription trentenaire
peut produire son effet pour le maintien des canalisations d'eau en
dehors de la commune.
La période électorale est venue interrompre l'étude que j'avais
commencée. Ce moment passé, j'ai pensé normalement que la question
serait reprise par l'une de ces énergies, tout au moins.
Passons. Ceci n'est qu'un à-côté de l'affaire. Le principal était de
savoir à qui appartient la source.
Je donne, ci-après, un exposé très sommaire du résultat de mes
recherches.
Un simple coup d'œil sur le plan cadastral indique que cette source
appartenait à la commune avant que le propriétaire du Parc ait
demandé de faire un échange de terrains avec ceux de la commune,
dans le but :
1° de supprimer la rue de la Procession (prolongeant la rue de la
Mairie pour se continuer en tournant derrière la propriété de la
Compagnie des Eaux et venant aboutir rue Parvery, en face la ruelle
de la Lombarde) ainsi que le lavoir et l'abreuvoir communal existant
dans cette rue, alimentés tous deux par la source et dont les eaux
usées continuaient de s'écouler sur le sol pour aller se jeter dans
un trou perdu qui aboutissait à la Seine en traversant le Château.
2° de pouvoir prolonger la rue Parvery pour qu'elle rejoigne la rue
des Ecoles (Le terrain entre ces deux voies appartenant au Parc).
Pour effectuer ce travail, ou a dû surélever le profil de la route,
obligeant ainsi le propriétaire du Parc, qui en avait la charge, de
prolonger la galerie de la source depuis son entrée, située rue du
Pavé (de la Mairie), jusqu'au rocher actuel, en passant sous la
route prolongée. La rue du Pavé fut par suite remblayée pour qu'elle
puisse se raccorder à niveau avec la nouvelle voie située en
dessous, ce qui eut pour résultat de boucher le regard qui donnait
dans la galerie (on voit encore actuellement les traces du cintre de
la voûte dans le mur de l'école des garçons en face la ruelle de la
Lombarde ; l'entrée de la galerie se trouvait vers le tuyau de
descente des eaux usées provenant de la terrasse de la cour d'entrée
du logement de l'instituteur).
L'eau captée à sa sortie de la galerie fut alors dérivée pour
l'alimentation de la rivière « l'Anglaise » dont le lit fut creusé à
cet effet. Un nouveau lavoir ainsi qu'un abreuvoir furent
reconstruits rue Parvery par le propriétaire du Parc, en
remplacement des installations supprimées rue de la Procession. (Le
nouvel abreuvoir n'est plus alimenté !)
Jusqu'ici, il n'apparaît pas que la source ait été vendue ou cédée.
Le propriétaire du Parc, tous travaux terminés, ne pouvait jouir
légalement des eaux qu'à leur passage sur sa propriété. Il prenait,
en outre, la servitude d'entretien du mur de soutènement qui
maintient le sol de la rue Parvery. Depuis cette époque, la commune
paraît s'être laissée diriger par le propriétaire du Parc. Par suite
d'opérations ultérieures, la servitude d'entretien du mur a été
repassée à la commune.
Or, on nous prétend maintenant que la source n'est pas propriété
communale (partie comprise entre l'entrée actuelle de la galerie et
l'endroit où elle jaillit du sol, c'est-à-dire sur une longueur au
moins de 80 mètres située dans le terrain appartenant à la commune.
Résultat : la commune possédait une source qui fait une fortune et
n'avait pas de servitude ; maintenant, elle n'aurait plus de source
et elle a les charges ! Ce qui est communal et d'utilité publique ne
s'annihile pas si aisément. Jusqu'à preuve du contraire, je
maintiens que cette source appartient à la commune ; que l'on peut
rouvrir le regard, si besoin est, et que le concessionnaire pour la
distribution de l'eau n'a pas le droit d'effectuer des travaux dans
la galerie sans autorisation et sans le contrôle de la commune.
MM. Chanoit, ou le premier propriétaire qui a vendu cette source, a
cédé ce qui ne lui appartenait pas. La Lyonnaise fait état d'un acte
de vente. Peut-on réellement vendre une source ? Je ne le pense pas.
On vend une propriété dans laquelle se trouve une source ou un cours
d'eau, mais pas la source ou le cours d'eau qui est susceptible, de
par la nature, de pouvoir disparaître un jour ou l'autre.
Depuis un an, d'autres travaux ont été entrepris ; l'eau ne fait
plus cascade sur le rocher de la propriété immédiatement intérieure
(c'était pourtant l'idée et le but poursuivi par l'auteur des
nouvelles installations) au grand détriment des propriétaires de la
rivière qui ne reçoit plus, indépendamment des 200 mètres cubes qui
lui sont dus journellement, le supplément d'eau auquel ces
propriétaires peuvent prétendre avoir droit par suite d'une
situation plus que trentenaire (question à étudier). Rien que cette
particularité semble être en dehors de l'exposé qui précède, elle
parait cependant devoir être considérée comme connexe. On trouvera
chez Me Binet, notaire à Poissy, une réponse de la
Lyonnaise donnant suite à ma première réclamation à ce sujet.
Si j'ai observé le silence, il y a un an, c'est que je ne voulais
pas renseigner la Lyonnaise sur le résultat de mes recherches, étant
donné surtout qu'elles n'étaient pas terminées ; elle était
cependant bien [au] courant que je n'admettais pas sa thèse.
J'ajoute que je crois savoir qu'un nouveau projet est en cours
d'étude et dont la réalisation ne sera pas, encore une fois, au
bénéfice de la commune.
Picard.
Journal
de Poissy, organe des cantons de Poissy, Meulan,
Saint-Germain-en-Laye, Rueil, Maisons-Laffitte, Marly-le-Roi,
Rueil, 1/5/1930
La municipalité s'est aperçue que, dans les actes de cession du
terrain au concessionnaire, celui-ci était désigné comme le
propriétaire de la source alors qu'elle prendait naissance sur un
terrain de la commune. Elle Envisageant un procès, elle souhaita
recueillir les témoignages d'anciens Villennois sur l'ancien état des
lieux.
Le maire protesta auprès de la compagnie contre les traités ou
conventions, qu'elle avait établis avec les municipalités de Médan et
de Vernouillet :
[...] Vous ne pouvez pas distribuer ou vendre à l'extérieur de la
commune de Villennes l'eau qui provient de la source, sans
autorisation de la commune.
Distribution de l'eau du forage artésien de Migneaux
En décembre 1932, le concessionnaire informa le maire d'un problème
et de la solution proposée :
Par suite d'une perturbation accidentelle, survenue aux sources de
Villennes, la qualité de l'eau laissant actuellement à désirer, nous
avons l'honneur de vous demander de bien vouloir porter à la
connaissance des habitants de votre Commune qu'il est indispensable,
jusqu'à nouvel avis, de faire bouillir l'eau de notre distribution.
Nous recherchons les causes de cette contamination et nous prenons
les précautions qui s'imposent en javellisant l'eau.
En outre, afin d'éviter que pareil fait se reproduise, notre
société, désireuse d'apporter un service de tout premier ordre en
livrant à la population une eau naturellement pure, a pris la
décision d'exécuter les travaux nécessaires, pour substituer,
provisoirement, aux eaux actuelles les eaux artésiennes du forage
artésien de Migneaux à Poissy qui sont de toute première qualité
tant au point de vue chimique que bactériologique.
En avril 1933, M. Hauët, président du Syndicat d'initiative, écrivit
au maire :
[...] Il serait à souhaiter que l'eau d'alimentation provenant de
Migneaux soit au plus tôt livrée à la consommation. Il est hors de
doute qu'il résulte de ce retard dans la distribution de l'eau à
l'habitant, une grande gêne qui ne peut que favoriser les marchands
d'eau minérale, après que la Municipalité a fait prévenir, à son de
tambour, la population de s'abstenir de boire l'eau de source, sans
la faire bouillir.
Cette eau artésienne a été, à nouveau, distribuée lors d'un autre
incident, en juillet 1935, des dépôts ayant troublé la distribution.
La Société Lyonnaise des Eaux et de l'Eclairage jugea alors
que cette eau "est la meilleure de toutes celles qui sont
utilisées en région Parisienne, tant au point de vue
bactériologique que comme teneur en calcaire".
Elle reconnaissait toutefois que les eaux des forages
artésiens avaient l'inconvénient d'être ferrugineuses et de
précipiter des dépôts ferreux sur les parois des
canalisations, qui pouvaient se détacher et troubler l'eau.
Elle étudiait un dispositif pour arrêter ces dépôts.
En novembre 1935, un grave incident a fait distribuer une eau
contenant au moins 3 cm3 de boue ferrugineuse par litre
d'eau. Le boulanger a été obligé d'aller chercher de l'eau de pluie
chez un voisin pour pouvoir faire son pain ; tous les abonnés branchés
sur la "haute pression" ont été privés d'eau, car elle n'était
utilisable pour aucun usage.
L'usine de Villennes de la Lyonnaise des Eaux
La SLEE a poursuivi l'exploitation des sources de Villennes. Un autre
réservoir a été construit à l'angle de rue du Pré aux Moutons et de la
route d'Orgeval. L'employé, qui en était chargé, était logé dans la
maison située dans le haut de son terrain, avant qu'un gardien le
remplace lorsqu'une eau d'origine plus lointaine a alimenté les
Villennois.
Elle était déjà, à l'origine, la maison d'un gardien : celui
de la propriété, qui comprenait la villa voisine, où habitait
le directeur du centre de Poissy de cette entreprise.
Les pompes installées par MM. Chanoit Frères ont,
semble-t-il, été remplacées plusieurs fois. La date de la
construction du bâtiment qui les contient, encore de nos
jours, figure au dessus de sa porte.
Voici un extrait d'un document intitulé "Usine de Villennes -
Consignes générales de marche", trouvé dans le local où
l'on peut encore voir de nos jours, mais inutilisées, les pompes et la
cuve de javellisation de l'eau :
L'usine comprend deux groupes de reprise dans la bâche de stockage
de l'eau de la source dont le débit est de 30 m3/h.
- Le premier groupe refoule vers le réservoir de la
place verte (T. P. 54) et a un débit de 20 m3/h. à 32 m.
d'élévation.
- Le second groupe refoule vers le réservoir des GROUX
(T. P. 95) et a un débit de 25 m3/h. à 70 m. d'élévation.
Le débit de la source ainsi que la puissance électrique B. T.
disponible ne permettent pas de faire fonctionner les deux groupes
ensemble. En conséquence, en fonctionnement automatique les deux
groupes fonctionnent de la manière suivante :
- Le groupe n°1 fonctionne en priorité pour l'alimentation du
réservoir de la place verte.
- Le groupe n°2 se met en marche automatiquement lorsque le
groupe n°1 s'arrête, le réservoir de la place verte étant plein.